마릿수벵에

신상품 소개


회원 랭킹


공지사항


NaverBand
낚시인 > 번개조황

마릿수벵에

2 갯바위앵글러 9 1,264 2022.05.04 16:56



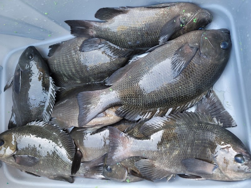
남해도 이제는 저수온을 적응한 벵에들이 활성도가 많이 좋아졌네요.


오늘은 오전부터 쪼아보고 싶어서 서둘러 가보았습니다.


발앞에서 전방 10미터권은 자리돔과 복어와 애벵들에게


엄청 시달렸네요.


그래도 잡어성화들이 오늘은 반갑네요.


자리돔들도 잘피고 해서 마릿수는 하겠다는 예감이 들더군요.


조류가 좀 빠르지만 잡어떼성화를 피하려면 장타가 유리하겠다싶어


20~30미터까지 빵가루를 날려보았습니다.


30분정도 어떤 입질도 없었지만 꾸준하게 던져 넣어주니


아니나다를까  푸르고 흰색이 찬란한 30급정도 덩치급들이


순간적으로 피다 사라지는게 목격될때 심장이 바운스바운스 하네요 ㅎ


완전표층까지는 아니지만 2~3미터권까지 올라오길래


밑밥량을 줄이고 먹이경쟁을 시켜주니 


발포찌를 훅 하고 시원하게 가져가는 입질을 연속해서 들어오더군요.

f8a375bfba7209de995bb7eae3f1cfa6_1651650917_307.jpg

 

요즘같은 저수온기에 벵에관찰에  편광안경이  필수아이템이더군요.


싹3님매장에서 맞춘 도수들어간 편광안경덕을 톡톡히 보았네요.

f8a375bfba7209de995bb7eae3f1cfa6_1651650955_6223.jpg



 

0

좋은 글이라고 생각되시면 "추천(좋아요)"을 눌러주세요!


  • 페이스북으로 보내기
  • 트위터로 보내기
  • 구글플러스로 보내기
  • 카카오스토리로 보내기
  • 네이버밴드로 보내기
  • 네이버로 보내기
  • 텀블러로 보내기
  • 핀터레스트로 보내기
9 댓글
2 노란케미 22-05-04 19:47 0  
벵에 씨알이 아주 좋습니다.
진한 손맛 보신거 축하드립니다.
아무나 잡을 수 있는 것은 아니겠죠
상황에 따른 대처능력이 중요할 것 같습니다.

축하합니다! 행운의 바늘에 당첨! 336점 적립되었습니다!

2 갯바위앵글러 22-05-04 22:06 0  

네네 맞습니당~
잠시잠시 2미터권까지 10초가량 잘 피다가
채미만 던지면 사라지고 미끼를 안물어서 힘들었네용
발앞쪽은 저래서 거의 애벵들만 살판 나더군요.
오늘의 교훈은 "초예민할때는 장타로 공략하라"
"감질나게 작은밑밥으로 먹이경쟁을 시켜라"
요 2가지가 두자릿수 할수 있었던 패턴이었네요.
벵에사냥은 수수께끼 풀이 문제집 같습니다 ㅎㅎ
5 강태공윤배 22-05-05 23:01 0  
슬슬 좋아지는 느낌적인 느낌이네요!!
손맛 축하드립니다
46 청파 22-05-06 18:42 0  
벵에가 살이 통통하게 올랐네요..
 
포토 제목
 

인낚 최신글


인낚 최신댓글


온라인 문의 안내


월~금 : 9:00 ~ 18:00
토/일/공휴일 휴무
점심시간 : 12:00 ~ 13:00