오전에 고생한 보람이 있으시네요
미친듯이 피딩이 되는 순간.........
그 기분이 느껴지는 듯하네요
마릿수 손맛 보신거 축하드립니다.
미친듯이 피딩이 되는 순간.........
그 기분이 느껴지는 듯하네요
마릿수 손맛 보신거 축하드립니다.
축하합니다! 행운의 바늘에 당첨! 493점 적립되었습니다!
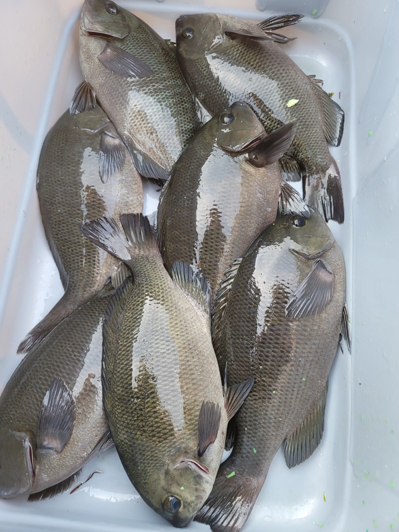
짬낚 성공남해 내만쪽에 오전중에 청물이 심하네요.
오전에 두시간 내내 입질한번 못받고 철수 했습니다.
오후에 한낮에 따가운 햇빛을 받고나면 좀 수온이 오르겠지 하고
늦은 오후 3시경 짬낚이나 다시 해보자 하고 담굽니다.
밑밥에 자리돔떼가. 바로 바로 피네요.
오....조짐 좋다....
이왕이면 큰놈 노리자 싶어 20 ~ 30미터 장타를 때립니다.
밑밥 넣은지 30분 지나니까
벵에들이 갑자기 미쳐 날뛰네요 ㅎㅎㅎ
첫고기가. 눈까리에 박혀 나오네요 ㅎㅎㅎ
청물로 실망한 오전과 달리
딱 30분동안. 물이 끓는듯 피딩타임을 즐견네요.
비록 짧은 시간 이지만
묵을만치 잡아서 바로 철수 핸네요.
오늘 벵에 피딩을 훤하게 관찰할수 있게 해준 도수편광안경덕을
톡톡히 보았네요.
축하합니다! 행운의 바늘에 당첨! 493점 적립되었습니다!
|
|
|
|