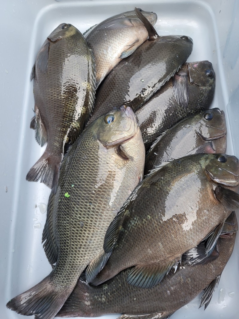
제가 저런경우를 만난적이있는데~!(여서도 에서)
별짓을 다해도 안되다가~!
바늘을 3호로 낮추고....목줄을 0.7호로 했더니...그나마 물더라구요~!
긴꼬리에는 속절없이 목줄이 팅~!
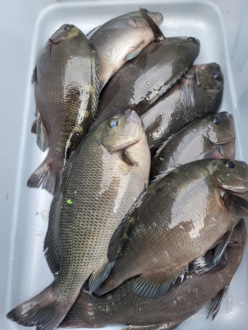
별짓을 다해도 안되다가~!
바늘을 3호로 낮추고....목줄을 0.7호로 했더니...그나마 물더라구요~!
긴꼬리에는 속절없이 목줄이 팅~!
@우수상회Qrillstory
우수상회 사장님. 기억 나실런지 모르겠지만 저랑 만난적 있어요. 작년인가 재작년인가...
미조 사료냉동창고 앞에서
잠시 이야기 나누었는데
가두리사료부터 밑밥사업도 하신다더니
드뎌 사업 하시는군요.
번창하시기 바랍니다 ㅎㅎ
우수상회 사장님. 기억 나실런지 모르겠지만 저랑 만난적 있어요. 작년인가 재작년인가...
미조 사료냉동창고 앞에서
잠시 이야기 나누었는데
가두리사료부터 밑밥사업도 하신다더니
드뎌 사업 하시는군요.
번창하시기 바랍니다 ㅎㅎ
















