거제도 감성돔

신상품 소개


회원 랭킹


공지사항


NaverBand
낚시인 > 번개조황

거제도 감성돔

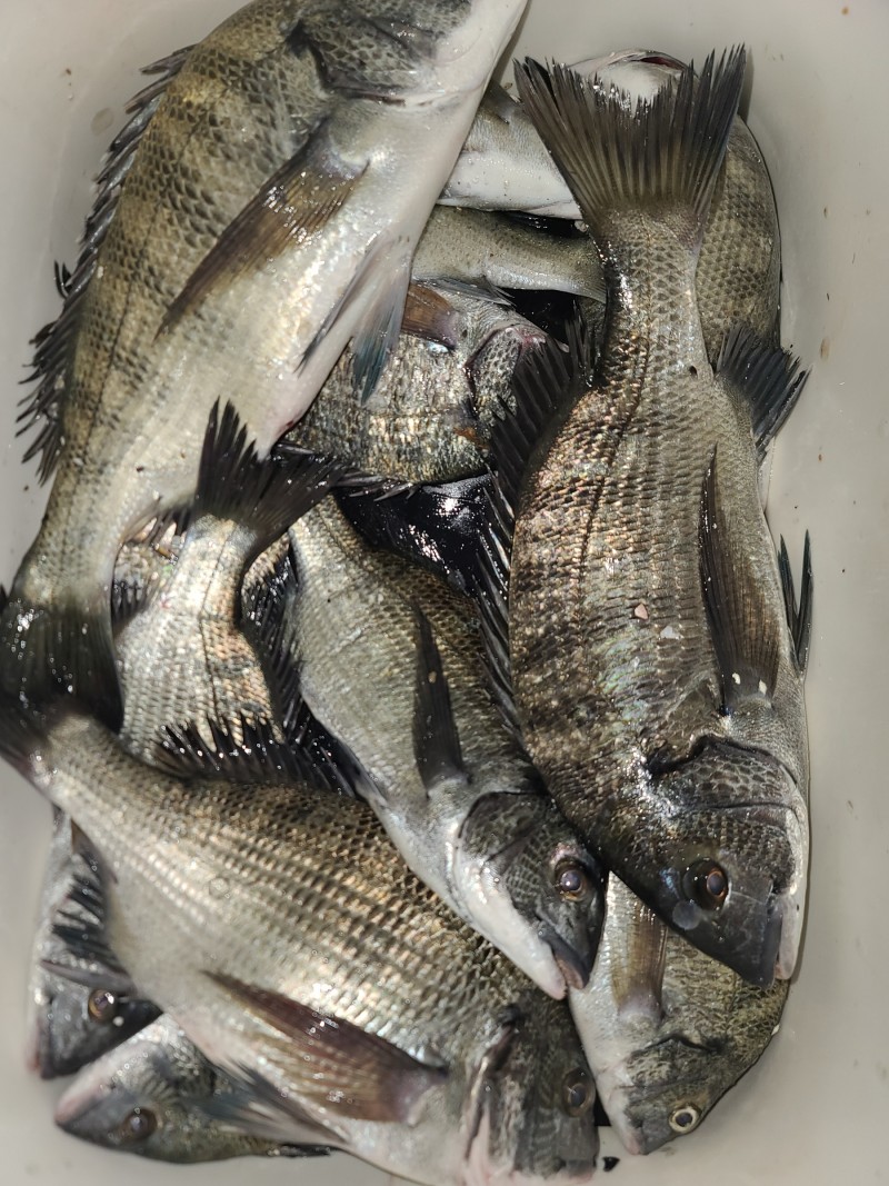
51 HoYaHoYa 23 3,479 2022.08.24 12:22
37 https://m.blog.naver.com/chjjin2/222852991032

11c6bb293ae2dd1ccb970a6af33a9cfb_1661311068_2202.jpg

8.19  거제 먼바다쪽은 수온이 꽤 차가운듯하나



거제 내만권은 수온이 제법 안정적인듯합니다.



거제 내만 도보에서 짬낚시로 제법 나오네요.


살아나는 물때부터 조과가 좋아지지싶습니당


https://m.blog.naver.com/chjjin2/222852991032 



 

0

좋은 글이라고 생각되시면 "추천(좋아요)"을 눌러주세요!


  • 페이스북으로 보내기
  • 트위터로 보내기
  • 구글플러스로 보내기
  • 카카오스토리로 보내기
  • 네이버밴드로 보내기
  • 네이버로 보내기
  • 텀블러로 보내기
  • 핀터레스트로 보내기
23 댓글
1 내사랑감시 22-08-24 17:45 0  
축하드립니다. 나도 날잡아서 거제 도보나 가야겠네요.
51 HoYaHoYa 22-08-24 20:15 0  
거제 내만권 어디든 잔씨알은 다붙어있는거 같습니다. 쪼매큰놈들은 여기 떳다저기떳다하는거 같네요
51 HoYaHoYa 22-08-24 20:16 0  
감사합니다 ^^ 거제내만 어디든손맛보기좋을꺼같아요

축하합니다! 행운의 바늘에 당첨! 330점 적립되었습니다!

21 K무사시 22-08-25 06:59 0  
올해 첫 감시 얼굴좀 보러 가야겠습니다~
손맛 축하드립니다

축하합니다! 행운의 바늘에 당첨! 172점 적립되었습니다!

8 허니파파 22-08-25 09:53 0  
지난 주말 경남 고성 도보권 방파제 몇군데 돌았는데 낮에도 밤에도 감시 얼굴 못봤네요.
주변 조사님들도 올 꽝, 그나마 거제권이 조금 더 바깥쪽이라고 감시가 제법 붙은가 보네요.
51 HoYaHoYa 22-08-25 11:36 0  
조금전후 맑은 물색때문인지 30초중반급 이상 사이즈는 방파제나 갯바위로 붙는 느낌이 덜했네요. 잡어도 제법많구요. 사리이후로 가면 조과가 좋아질꺼같은 느낌입니다.
24 무쌍 22-08-26 16:42 0  
도보에서 감시 마릿수로 손맛 보셨네요.
축하드립니다.
51 HoYaHoYa 22-08-26 19:20 0  
감사합니다 ^^ 운이따라준 하루였던거같습니다 ^^
1 꼴방파 22-09-21 14:56 0  
거제 감시 제가 다 밥주고 양식하는 건댕 손맛 축하드려요 ㅎㅎ 굿이에요 굿굿굿
 
b_hot_innakmall_200x80_240307.jpg b_hot_nios_200x80.gif b_hot_ggsusan_hongeu_160x100.gif b_hot_innakmall_200x80_211203.gif
포토 제목
 

인낚 최신글


인낚 최신댓글


온라인 문의 안내


월~금 : 9:00 ~ 18:00
토/일/공휴일 휴무
점심시간 : 12:00 ~ 13:00