안녕하세요
카니발 입니다..
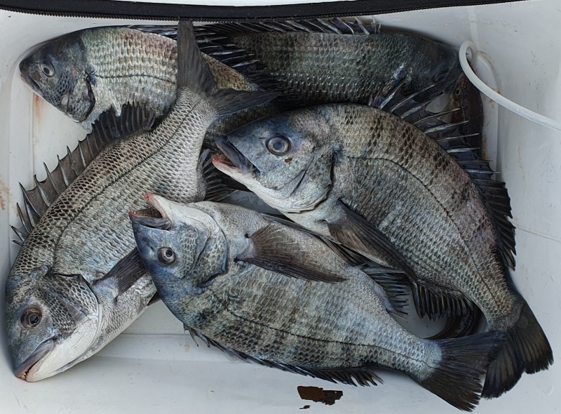
벵에돔 수온이 다시 하락하여 한산도 감성돔 카고를 다녀 왔습니다..
최근에 한산도권에서 감성돔이 나온다고 하여 날씨가 좋지 않아도 출발 합니다..
오전에는 파도가 심해서 영상을 찍지 못하고 점심먹고 영상을 담아 봅니다..
오전에는 날씨가 좋지 않아도 입질을 하였는데
오후에는 물이 빨라 재대로 낚시를 하지 못했네요..
오늘은 쏙과 옥수수 크릴로 낚시를 하였습니다..

하나파워3봉 크릴 6개 보리 10봉으로 카고라 수심 20매타 바닥을 노리고 낚시를 하였습니다..
이상 한산도 감성돔 입니다..
편광은
싹3님 편광 물속 3매타 벵순이 잘 보입니다..
진주 탑마트 안경원 입니다
눈도 편안하고요...
벵순이 부상하면 목줄 50센치 이내로 해보세요..
후회 안합니다..
바칸 기포기 가동시 발생하는 거품은 새우깡 3개만 넣어면
거품 발생을 방지하여 오래동안 벵순이 살릴수 있어요..
https://band.us/band/60895717
|
|
|
|
|
|
|
|