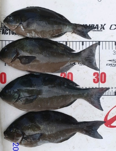
목줄 굵은거쓰면 입질없고 가는거 쓰면 터지고...안타까운 상황입니다ㅠ 철수하기 전까지 밑밥 조절하면서 집중해야 할것같습니다 샛바람 부는데 고생하셨습니다
새벽에걸어야 목줄도안타고 잘물어주는데...
낮에는 목줄탈까 굵게 못쓰겠더라고요.
좌사리 백곰형님 잘계시던가요?
가고싶네요.
손맛 축하드립니다.
낮에는 목줄탈까 굵게 못쓰겠더라고요.
좌사리 백곰형님 잘계시던가요?
가고싶네요.
손맛 축하드립니다.
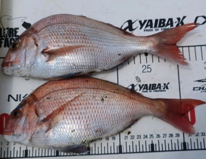
국도 좌사사리권에서 긴꼬리 낚시하다보면, 30급 긴꼬리와 참돔이 비슷한 수심대에서 같이 잡히는 경험을 많이 했는대..
잡으신 고기 보니 역시나 생각대로 30~35급 참돔과 긴꼬리들은 같이 뭉쳐댕기는 듯하네요 ..+_+
잡으신 고기 보니 역시나 생각대로 30~35급 참돔과 긴꼬리들은 같이 뭉쳐댕기는 듯하네요 ..+_+
축하합니다! 행운의 바늘에 당첨! 315점 적립되었습니다!












