벵에돔 드디어~

회원 랭킹


NaverBand
낚시인 > 번개조황

벵에돔 드디어~

8 용짜이찌 22 2,773 2021.06.09 23:40

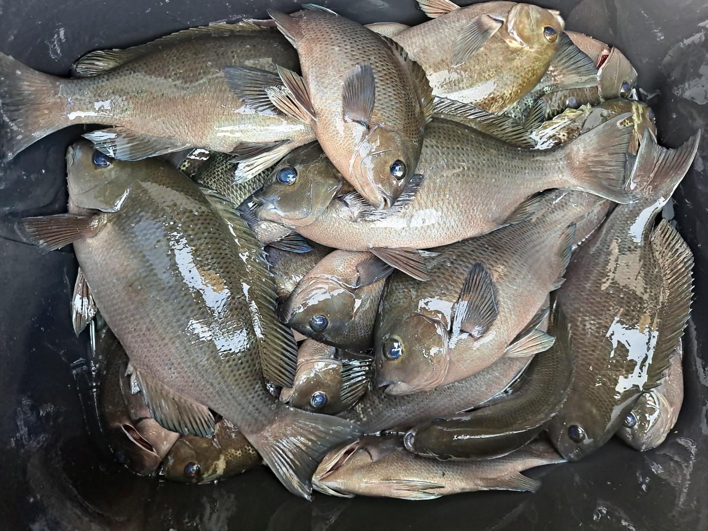
아침에 밑밥맛있게말아두고  회사반차쓰고 포항가려다가 멀어서 근교 방파제 벵에돔 손맛보고 왔습니다.ㅎ

3월~5월 중순까지 벵에가 잘나오더니 이후 꽝치거나 서너마리 겨우 얼굴만 보다가 드디어 손맛 제대로 보고왔습니다.


낮에 냉수대로 해무가 끼길래 물도 차갑고 틀려먹었구나 포항갈걸 후회하며 마음비우고 밑밥아까워서 큰기대없이 던지는데  한마리 물어주길래 집중하고 열심히해서 재미나게 하고왔습니다.

큰녀석이34cm 나오네요. 고기는 옆에조사님 나눠드리고 지인나눔했습니다.


밑밥을 영양만점으로 정성들여 만든보람이있네요.

밑밥과 사진에 보이는 오늘 저에게 효자,효녀입니다

금요일에 코로나예방접종 해야해서 접종후에는 휴식 해야된다길래 이번주말은 낚시못갈것같네요.ㅠㅠ

5

좋은 글이라고 생각되시면 "추천(좋아요)"을 눌러주세요!


22 댓글
55 검은바다 21-06-10 01:03 0  
정성이 ㄷㄷㄷ

바다가 감동한듯요 ㅎㅎ.

축하합니다! 행운의 바늘에 당첨! 188점 적립되었습니다!

8 용짜이찌 21-06-10 11:24 0  
감사합니다. 벵에한테 뭐하나 좋다고 하면 해보는 스타일이라 벵에낚시할때는 열심히 준비하는편 입니다~ㅎ
3 프로입문 21-06-10 08:07 0  
손맛 축하드립니다.
미끼가 맛나보이네요 ^^.
생새우를 미끼로 쓰신지 궁금합니다.
8 용짜이찌 21-06-10 11:26 0  
밑밥크릴녹여서 파우더에 버무린겁니다.
유투브보고 좀더 잘잡힐까 싶어서 해봤네요.
손이 지저분해지는 단점이 있네요ㅠ
1 갈대잎 21-06-10 08:21 0  
실력이 대단합니다..나는 언제 손맛보려나..
8 용짜이찌 21-06-10 11:26 0  
포인트 선정이나 운이 제일 중요한것같습니다.
50 꿈의사냥5짜 21-06-10 09:19 0  
고생하셨습니다!!

축하합니다! 행운의 바늘에 당첨! 32점 적립되었습니다!

8 용짜이찌 21-06-10 11:27 0  
안녕하세요. 감사합니다~ 예민한 수제목줄찌 잘쓰고있습니다ㅎㅎ
22 절대낚수마니아 21-06-10 09:50 0  
와~
손맛, 이빠이~~~
축하드립니다요 ^^
부러움에 한줄남기고 갑니다~
59 폭주기관차 21-06-10 10:46 0  
캬~~~ 쵝오네요.
역시 주종목 시즌이오니 잘 뽑아내시네요.
멋집니다.^&^
잘 보았습니다.
8 용짜이찌 21-06-10 22:09 0  
감사합니다.
고기들이 먹이활동을 해주어서 잡았습니다.ㅎ
30 치우사랑 21-06-10 11:55 0  
마릿수 손맛 축하드립니다
즐낚안낚되세요
4 지프롱 21-06-10 12:29 0  
마릿수 축하드립니다 나눔도  하시고 좋네요 ^^
27 곰이오빠 21-06-11 11:12 0  
사이즈에 마릿수까지 손맛 보고오셨네요 ~~ 축하드려요~
 
b_hot_innakmall_200x80_240307.jpg b_hot_nios_200x80.gif b_hot_ggsusan_hongeu_160x100.gif b_hot_innakmall_200x80_211203.gif
포토 제목
 

인낚 최신글


인낚 최신댓글


온라인 문의 안내


월~금 : 9:00 ~ 18:00
토/일/공휴일 휴무
점심시간 : 12:00 ~ 13:00