긴꼬리 넘 설치네요 35수

회원 랭킹


NaverBand
낚시인 > 번개조황

긴꼬리 넘 설치네요 35수

1 벵에대물타작 30 3,242 2021.06.24 21:21


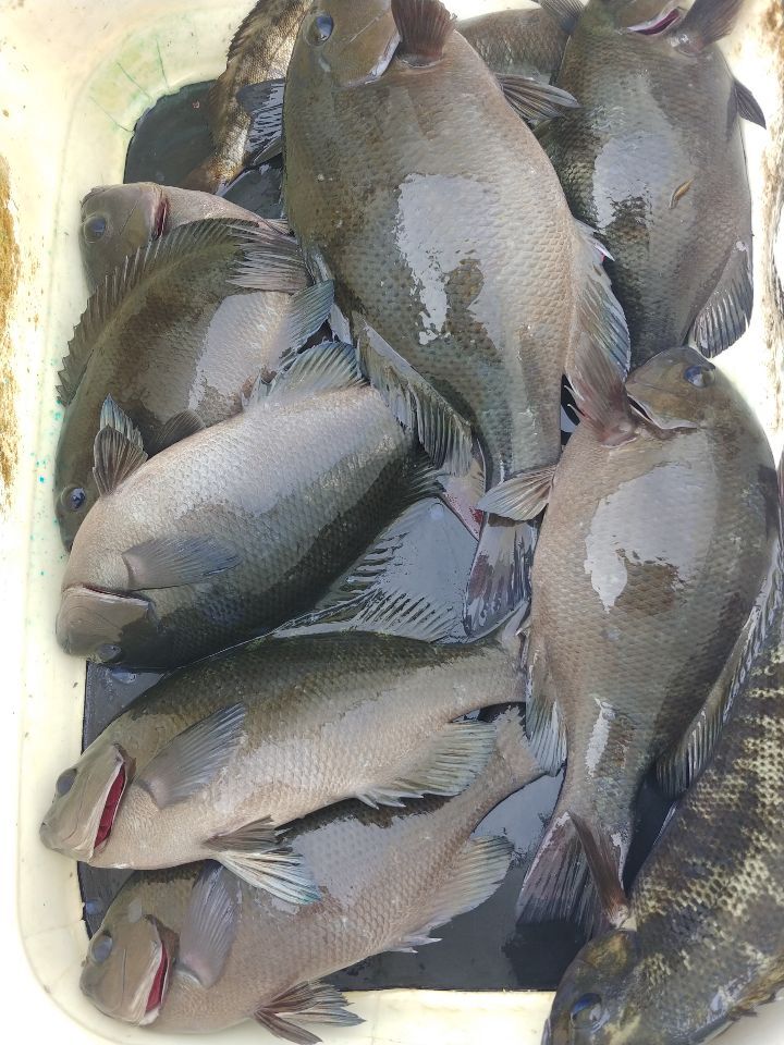
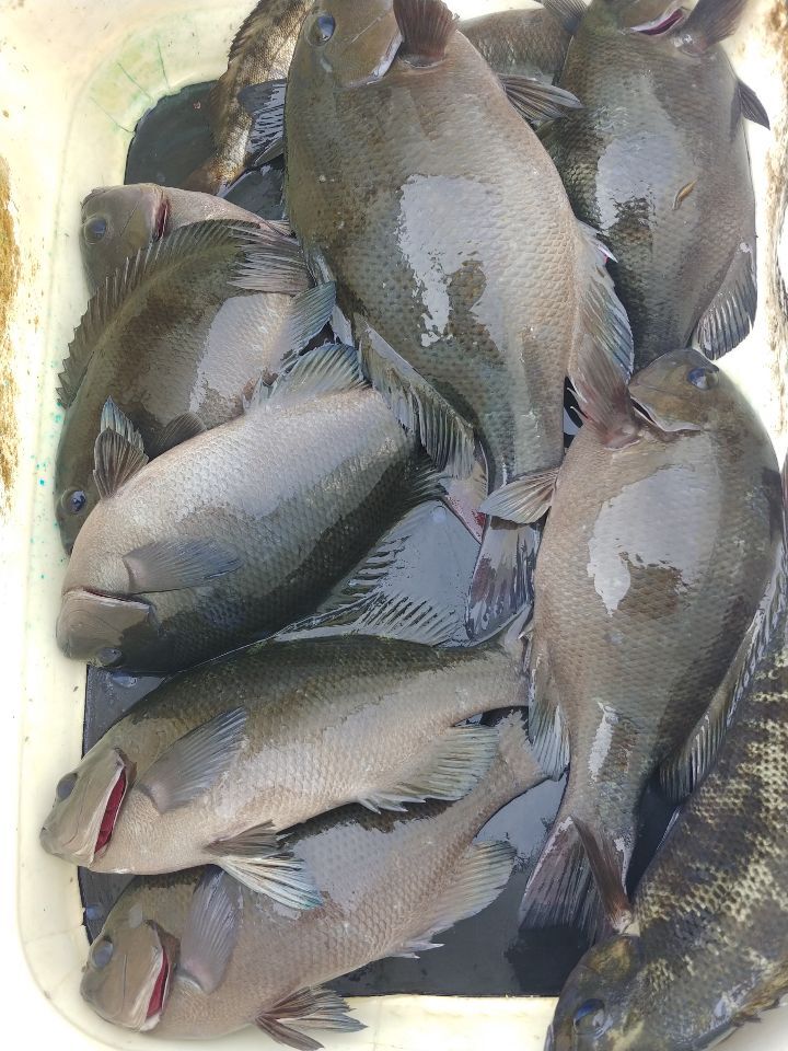
오늘 일끝내고 달려 보았네요 ^^


4시간 짬낚 도착해서 품치니 긴꼬리 아가야 일벵 ~상황이 넘 좋네요 15 미터권 집중밑밥질


 5분뒤 큰애들 보이기시작 목줄 1 .2목줄 두방터주고


 .잡은 애들은 35수 20수만 챙겨와서 나눔하고 10마리 회 쳐서 친구랑 만찬요 ^^ 전부 24 이상요~~큰넘만 31 ~32 입니다


회 묵고싶다고 해서 그냥갔는데 목표 달성해서 맛나게 흡입요 ^^


수심 70센티 밑밥띠에 동조~! 미끼 밑밥 온니 파레 빵가루만 사용요 ~잼낚게 낚시하고 마무리 했습니다 어딜가나 냉장고느낌 ^^


요즘 방파제 일주중 입니다~^^♥즐낚하세요


잼나네요~~여지 저기 찔러 볼께요`~^^ 즐낚하세요

5

좋은 글이라고 생각되시면 "추천(좋아요)"을 눌러주세요!


30 댓글
41 바다의여왕 21-06-24 21:52 0  
타작 하셨네요
축하드려요

축하합니다! 행운의 바늘에 당첨! 38점 적립되었습니다!

1 벵에대물타작 21-06-24 22:36 0  
잠시  하고왔습니다
하이 감사요^^

축하합니다! 행운의 바늘에 당첨! 44점 적립되었습니다!

28 대출상담 21-06-25 00:24 0  
축하드립니다 ^^

축하합니다! 행운의 바늘에 당첨! 209점 적립되었습니다!

3 프로입문 21-06-25 11:37 0  
타작 수준 맞네요.
나눔에 친구들도 챙기시는 여유 부럽습니다.
1 우공이해 21-06-25 16:04 0  
손맛 축하드립니다.

이런 조황 글에도 비추천을 누르시는 분의 이유는 뭘까요? 포인트를 안 알려줘서....아님..무엇때문에....당최 이해가....

제가 좋아요 한판 누르겠습니다.
1 벵에대물타작 21-06-25 20:48 0  
글쵸 ~?!고기 잡는방법 공유도하고 하는데 외  하이 누르시는지  이해 불가입니다 적이겠죠 ㅋㅋ배 아프면 저런 짓   
  거리하는 사람  있습니다 참 어의가 없습니다 고마운줄도 모르는 사람 이겠죠 그러니 제가 동출 안합니다 사람은 고마우면  고마운줄 알아야 되는데 참!
24 pus 21-06-25 17:57 0  
회비빔밥이 확 땡깁니다.ㅎ
수고하셨습니다.
2 거제딸바보 21-06-25 22:12 1  
멋진그림 잘보고 갑니다~
1 기적 21-06-26 00:37 0  
ㅎㅎ 조과가 좋으시네요 .
제눈엔 긴꼬리가 왜 안보일까요 ㅠㅠ
항상 안낚하시고 대물하세요 !!
1 벵에대물타작 21-06-28 07:58 0  
살림망에서 바로올려서 아가미 벌리고 있어서 그래요 감사합니다
 
b_hot_innakmall_200x80_240307.jpg b_hot_nios_200x80.gif b_hot_ggsusan_hongeu_160x100.gif b_hot_innakmall_200x80_211203.gif
포토 제목
 

인낚 최신글


인낚 최신댓글


온라인 문의 안내


월~금 : 9:00 ~ 18:00
토/일/공휴일 휴무
점심시간 : 12:00 ~ 13:00