제 처가인 비금도에 가니 경상도 말로 살감시를 삐드락이라 하더군요..
결혼 직후 '자네 뻐치지 않는가?' 라는 장인의 말씀을 이해하질 못해
어리둥절해 했는데, 이젠 세월이 많이 흘러 대부분 다 알아 듣는 정도
가 되었습니다..
작년 가을 동화도 감시자원 고갈 느끼고 늦가을 겨울 소안도, 청산도,황제도, 손죽도 , 금오도 내리 11연꽝의 불명예를 씻으려고 주말숙직 대체휴무로 3월말 영등 막바지 사리물때 뻘물 손죽도대신 금오도를 선택해 봅니다. 숭어도 합류
03:40 여수 아가미피싱호는 소호항을 조용히 마치 장판에 미끄지듯이 빠져 나갑니다. 두포 몇 팀 내리고 직포에 우리팀 호출 주변이 간출여가 산재 멋진 포인트로 보입니다.
족발에 소맥 한잔후 배 댄 자리 1호 전자찌11시 방향 45도 각도 간출여 끝을 노리고 1시방향 수중여 잦은 밑걸림도 파악
어제 이미 내린 자리 (나중에 보니 해변낚시점 스피드호로 철수)에서 11수, 산란철 수중여가 많은 곳에 감시들 좋아하는 곳

멀리 외나로도와 두억여는 보이나 광도, 평도 등은 안보여 , 앞에 카고 현지어선배와 찌발이 선상배
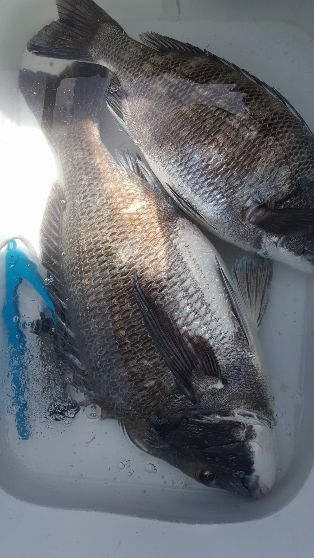
06:10 날이 새고 전갱이 인사 07:00 좌 직포 마을로 아주 천천히 좋게 흐르는 조류, 간출여가 서서히 잠기기 시작했고 수중턱 견제에 두번째 노래미, 그리고 세번째에 드뎌 감성돔 3짜 삐드락급이다. 숭어야 이리 와, 이녀석 여친도 분명히 있을거여, 같이 하게 , yes
조금 하고 물이 차오르자 나가버리고 네번째로 꾸욱~~ 이번에는 4짜급이다. 어라? 도다리가 이리 힘을 쓰다니?? ㅋㅋㅋ
아가 복어가 수면에 부상하고 이제부터 봄이 온 징조다.
11연꽝을 탈출하게 해준 삐드락, 4짜로 탈출해야 마음이 편한디 ㅋㅋㅋ
09:00이후 직포마을에서 휘어 감아오는 북동풍에 찌를 우로 보내버리고 11시 만조 막걸리 타임 물돌이에 열심히 해보나 무소식 13:00 철수준비

거북손과 군소
도다리와 삐드락
노래미와 전갱이
이제 감시낚시는 끝내고 볼락,열기,도다리,쭈꾸미나 가고 5월 벵에돔, 여름 뻰찌가 기다려집니다.
|
|
|
|