안녕하세요
인터넷바다낚시 강태공윤배입니다
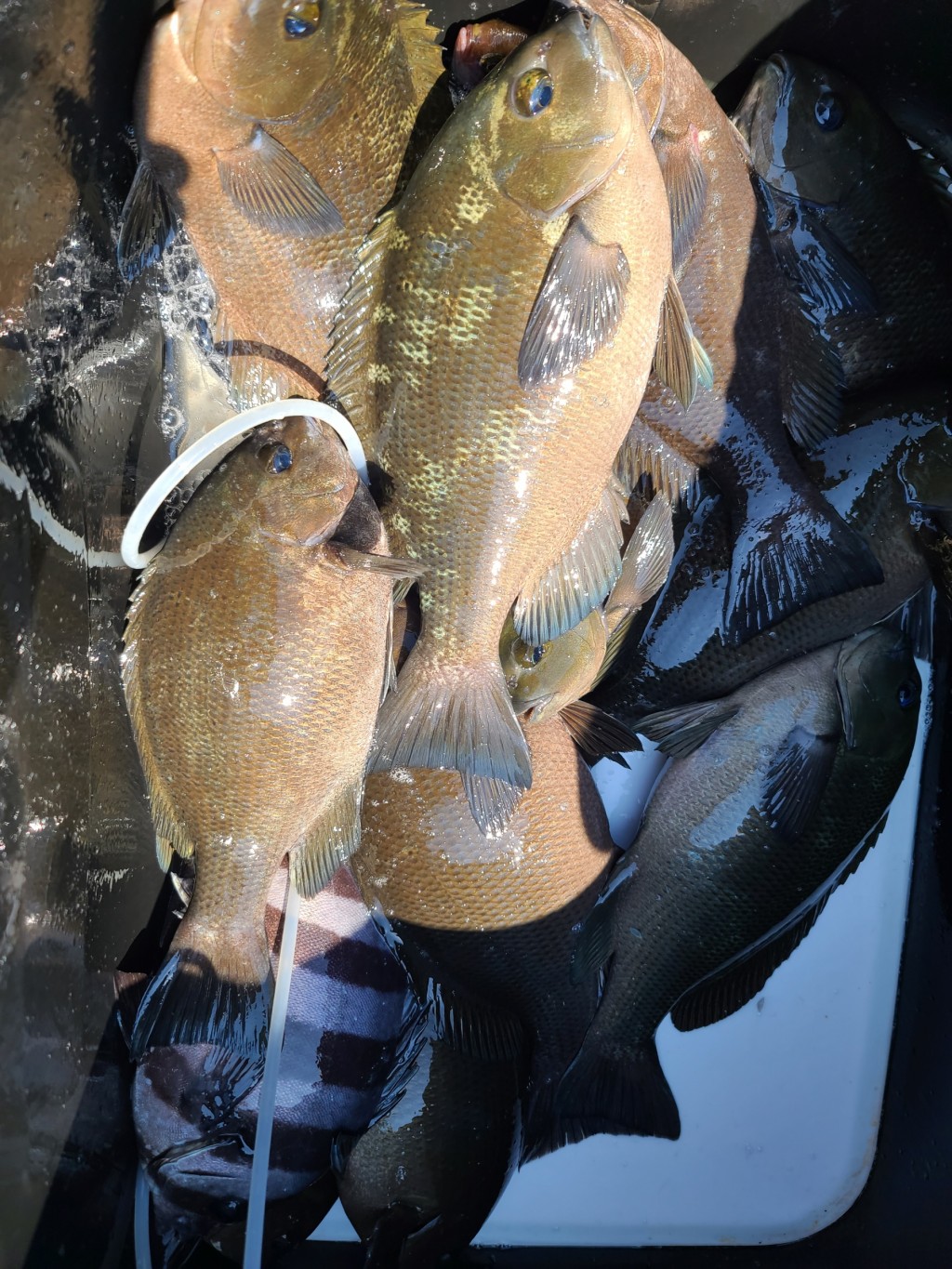
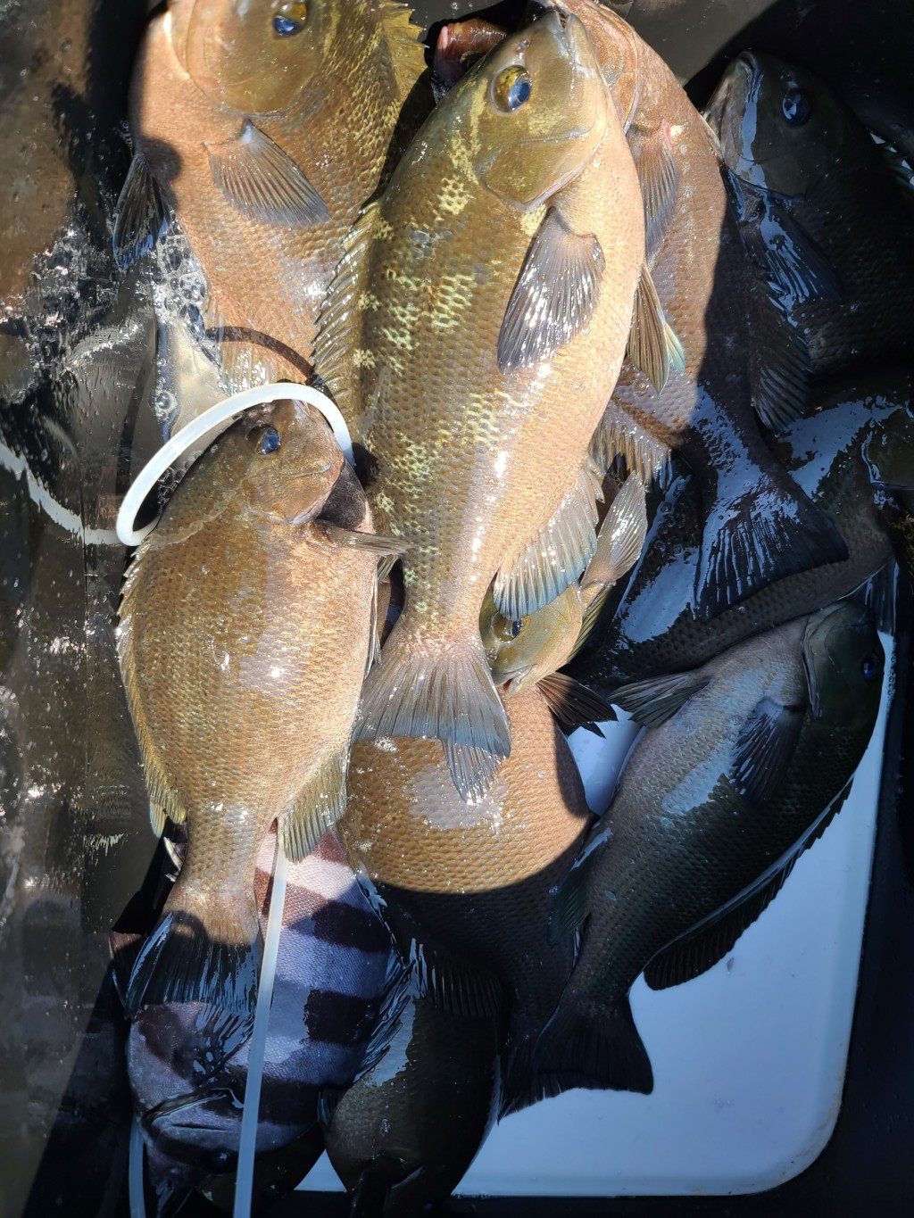
이번 주말은 남해 미조로 벵에돔을 잡으러 다녀왓습니다
녀석들이 아직은 많이 까탈스럽지만
점점 활성도가 좋아지는 느낌적인 느낌입니다^^
26이하는 모조리 방생하고 먹을만치 챙겻으나....
라이브웰에 두레박을 같이 넣고 오니....
이런!! 고기 상태가 맛이 가버렷습니다 ㄷㄷㄷ
기포기 두개가 무용지물이네요!! 앞으론 참고해야겟습니다
날씨가 점점 더워지네요 ㅜㅜ
조사님들도 건강유의하시면서 즐거운 낚시 되세요!!




