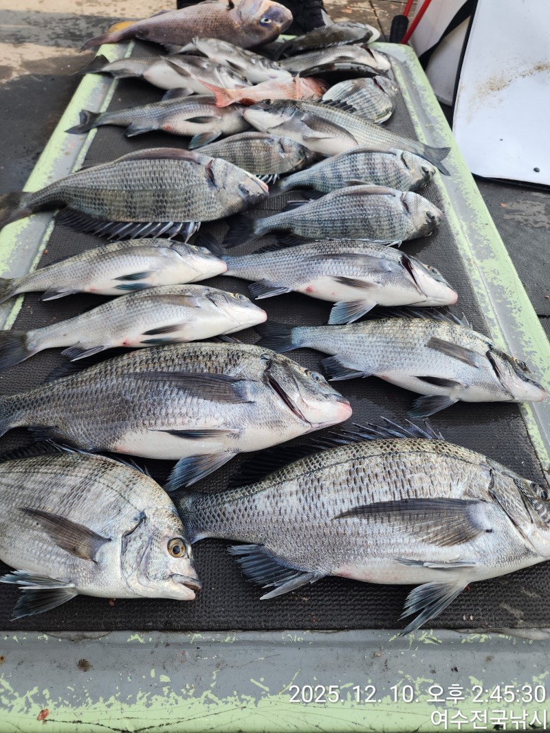
마릿수 감성돔....!!

신상품 소개


회원 랭킹


공지사항


NaverBand
출조정보 > 점주/선장 선상(배) 출조안내
▶선상(배낚시) 출조와 관련하여 안내글을 올리는 게시판입니다.
▶출발지에는 지역명 또는 항구명(예시: 부산 중앙동, 여수 국동항)을 입력해 주세요.
▶게시판 성격과 맞지않는 글은 예고없이 삭제 또는 이동될 수 있습니다.

마릿수 감성돔....!!

여수전국낚시 0 4 0
● 출발지: 여수 신월항 ● 목적지: 금오열도 ● 대상어종: ● 비용: 10 만원

#출조공지

안녕하세요?

마초맨 박진국입니다.


9일(수요일) 출조는 금오열도 선상출조,


모처럼 날씨가 좋아 거문도로 잡았으나

출조인원 부족으로 금오열도로

(선상낚시)로만 출조합니다.


●포인트:금오도 신선대,직포에서 선상낚시

즐겨 보도록 할 예정입습니다.


점차적으로 40cm 감성돔 씨알이 

좋아지고 있습니다.


●또한 선상낚시 비용은 밑밥+미끼 포함 

    (100.000)원으로 모시고 있습니다.

●커피,생수 지급합니다,


●단,식사는 개인 지참입니다.

   따뜻한 물은 준되어 있습니다.


●물때에따라(들물과 날물) 포인트 이동은

  두번 원칙으로 합니다.


  또한 입질이 없을시 상의해서 포인트 이동


●(선상낚시)단체출조 환영합니다.

●갯바위(단체출조)환영합니다


출조문의 부탁 드립니다.


여수전국낚시: 010 3608 6131

0 Comments
제목
 
 

인낚 최신글


인낚 최신댓글


온라인 문의 안내


월~금 : 9:00 ~ 18:00
토/일/공휴일 휴무
점심시간 : 12:00 ~ 13:00