(선외기)금어기 해제 대물 감성돔 사냥 출동~(내일 예약 가능)
● 출발지: 거제 아지랑마을
● 목적지: 거제 내만권
● 대상어종:
● 비용: 전화문의
6월 1일(일요일) 거제 감성돔낚시 "거제대어선외기"출조합니다.
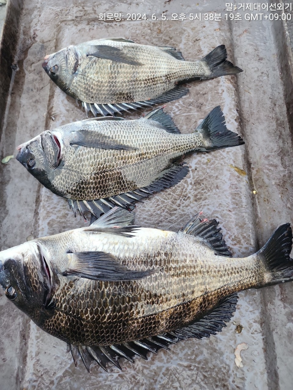
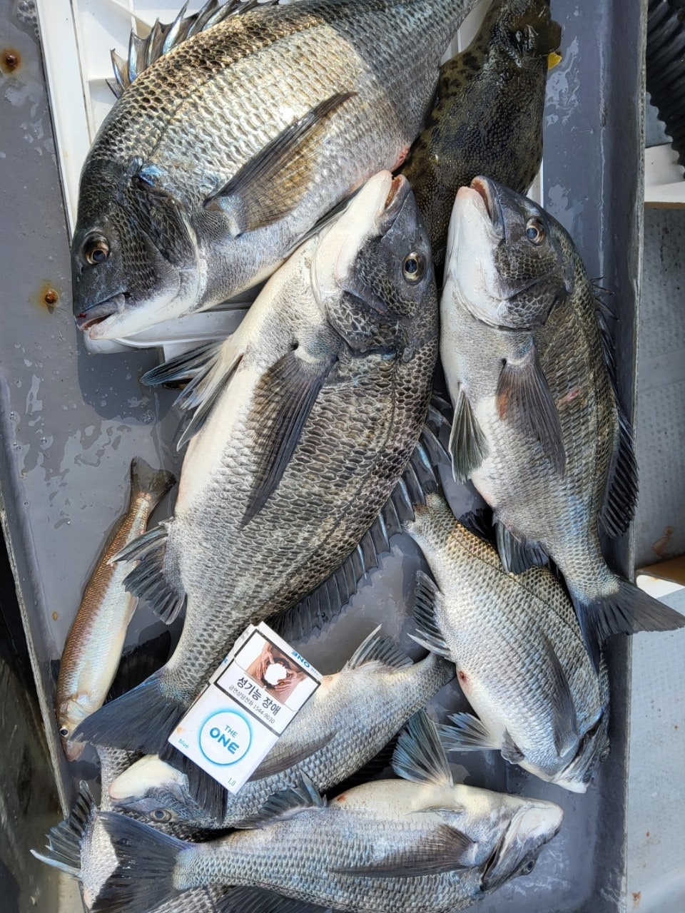
※최대어 53Cm이상(일 1명) 대어낚시&아지카 공동이벤트 최상급원줄 증정!!!
☆ 6월 1일(일) 금어기 해제 감성돔낚시 선외기 대여 "예약가능"
▶선상낚시/선외기/단독펜션 운영.
6월 1일 금어기 해제된 감성돔/참돔/선외기 대여 가능~
선외기 영업지역에 굵은 감성돔들이 바글바글합니다~
※최대어 53Cm이상(일 1명) 대어낚시&아지카 공동이벤트 최상급원줄 증정!!!
☆ 6월 1일(일) 금어기 해제 감성돔낚시 선외기 대여 "예약가능"
▶선상낚시/선외기/단독펜션 운영.
6월 1일 금어기 해제된 감성돔/참돔/선외기 대여 가능~
선외기 영업지역에 굵은 감성돔들이 바글바글합니다~
거제대어선외기입니다.
몇일 남지 않은 감성돔 금어기가 종료되는 6월 1일(일요일)부터 대어낚시선외기
영업구역 내 진입한 굵은 감성돔낚시가 시작됩니다. 손맛부터 몸맛까지 금어기
해제 초반 꼭 노려 보시길 바랍니다.
6월 1일(일요일) 거제 대어 선외기 예약가능합니다.
▣ 거제대어낚시 참돔부시리/감성돔낚시/선외기대여 일정 안내 ▣
★숙박+낚시배를 동시에 이용하고자 하는 분들은 할인 혜택 적용.
6월 1일(일요일) 금어기 해제~감성돔 선외기 대여 "예약가능"
6월 2일(월요일) 거제도 감성돔 선외기 대여 "예약가능"
6월 3일(화요일) 거제도 감성돔 선외기 대여 "예약가능"
6월 4일(수요일) 거제도 감성돔 선외기 대여 "예약가능"
6월 5일(목요일) 거제도 감성돔 선외기 대여 "예약가능"
6월 6일(금요일) 거제도 감성돔 선외기 대여 "예약가능"
※ 좋은 포인트 선정을 위해 예약을 미리미리 서둘러 주십시요.
거제대어낚시 선외기(선상)낚시 예약(독채 민박)
문의 ☎ 010-640-2082 / ☎ 010-454-3937
ㅁ선외기 예약: ☎ 010-6400-2082
■ 밴드: https://band.us/@geojedaefishing
거제대어낚시는 1~8선단을 운영하고 있으며 거제도에서 가장 큰
규모를 자랑합니다. 단체팀/회사팀/기업팀/동호회팀/선상 낚시대회도
가능한 충분한 인원을 수용 가능합니다.
■ 선외기 대여
(4인승)- 13만원, (3인승) - 10만원 / (2인승) - 8만원 / (1인승)- 7만원.
영업구역 내 조정면허증 필요 없으므로, 누구나 이용이 가능합니다.
- 선외기 사용교육 3분이면 바로, 운전하실 수 있습니다.
- 안전을 위해 철수 시간은 "오후 4시 30분"을 필히 준수 바랍니다.
■ 돌문어낚시 ■
새벽 4시 30분 출발해서 오후 1시 전후까지 운영.
- 식사, 음료 커피 제공
■ 참돔 선상 흘림낚시 (내만권/중장거리 상시 출조)
한나절:새벽부터 ~ 2시까지(유동적) 13만원
- 밑밥,미끼,도시락 제공, 커피, 음료, 생수 제공
(낚싯대) 기본 1.5호~2호대 530(경질대 선호)
(릴) 4000번~6000번. 권사량 150~200미터 추천되는 스피닝릴.
(라인) 원줄 4~6호 플로팅 세미타입, 목줄 후로로카본 100% 4호~6호 선호.
(바늘) 참돔 8~12호, 큐션또는 수중큐션 -2B ~ -5B, 좁쌀봉돌, 스위벨도래
※독배는 시간 조정 가능합니다.
▦ 거제대어낚시 참돔 시상 내역 ▦ 일 1명씩 시상됩니다.
68Cm 이상 - 최상급 원줄 증정
■ 생활낚시 & 낚시체험
- 상시 예약 출조 가능합니다.
- 낚은 고기로 회썰어 드립니다.
- 몸만 오시면 됩니다.(낚싯대, 장비일절제공, 구명복 제공)
★안전 주의 사항★
- 거제대어낚시 선단 이용시, 안전한 낚시를 위해 선착장 통로 이용시
바닥 및 부대시설에 대해 미끌림을 주의 해 주시길 바랍니다. 통로 좌우에
있는 핸들을 잡고 이동하시면 안전합니다.
- 선착장 도착전, 배에서 미리 내리지 마시고, 배가 정박하고, 로프를 묶은
뒤에 하선해 주시길 바랍니다.
★대어낚시 선단★
거제 대어낚시 1호 ㅡ 안젤라호
거제 대어낚시 2호 ㅡ 안드레아호
거제 대어낚시 3호 ㅡ 야호(YAHO)
거제 대어낚시 4호 ㅡ 돌핀호
거제 대어낚시 5호 ㅡ 미래호
거제 대어낚시 6호 ㅡ 거제바다호
거제 대어낚시 7호 ㅡ 사랑호
거제 대어낚시 8호 ㅡ 대어호
■ 주변 제휴 민박집 ■
아지랑 민박(단체-독채) ☎010-6400-2082
해송굴구이민박(단체) ☎010-2545-3755
거제 대어낚시 주변 파라스파찜질방 검색하시면 됩니다.
거제대어낚시 선외기(선상)낚시 예약(독채 민박)
☎ 010-6400-2082 / ☎ 010-4547-3937
ㅁ선외기: ☎ 010-6400-2082
■ 밴드: https://band.us/@geojedaeeofishing
★찾아오시는길★
※출항지: 거제시 거제면 법동리 1074번지 아지랑경로당 방파제
사무실 :거제시 거제면 서정리 746-3(GS25시편의점)검색하시면 바로 옆 위치
★★★신분증 꼭 지참해주세요★★★
규모를 자랑합니다. 단체팀/회사팀/기업팀/동호회팀/선상 낚시대회도
가능한 충분한 인원을 수용 가능합니다.
■ 선외기 대여
(4인승)- 13만원, (3인승) - 10만원 / (2인승) - 8만원 / (1인승)- 7만원.
영업구역 내 조정면허증 필요 없으므로, 누구나 이용이 가능합니다.
- 선외기 사용교육 3분이면 바로, 운전하실 수 있습니다.
- 안전을 위해 철수 시간은 "오후 4시 30분"을 필히 준수 바랍니다.
■ 돌문어낚시 ■
새벽 4시 30분 출발해서 오후 1시 전후까지 운영.
- 식사, 음료 커피 제공
■ 참돔 선상 흘림낚시 (내만권/중장거리 상시 출조)
한나절:새벽부터 ~ 2시까지(유동적) 13만원
- 밑밥,미끼,도시락 제공, 커피, 음료, 생수 제공
(낚싯대) 기본 1.5호~2호대 530(경질대 선호)
(릴) 4000번~6000번. 권사량 150~200미터 추천되는 스피닝릴.
(라인) 원줄 4~6호 플로팅 세미타입, 목줄 후로로카본 100% 4호~6호 선호.
(바늘) 참돔 8~12호, 큐션또는 수중큐션 -2B ~ -5B, 좁쌀봉돌, 스위벨도래
※독배는 시간 조정 가능합니다.
▦ 거제대어낚시 참돔 시상 내역 ▦ 일 1명씩 시상됩니다.
68Cm 이상 - 최상급 원줄 증정
■ 생활낚시 & 낚시체험
- 상시 예약 출조 가능합니다.
- 낚은 고기로 회썰어 드립니다.
- 몸만 오시면 됩니다.(낚싯대, 장비일절제공, 구명복 제공)
★안전 주의 사항★
- 거제대어낚시 선단 이용시, 안전한 낚시를 위해 선착장 통로 이용시
바닥 및 부대시설에 대해 미끌림을 주의 해 주시길 바랍니다. 통로 좌우에
있는 핸들을 잡고 이동하시면 안전합니다.
- 선착장 도착전, 배에서 미리 내리지 마시고, 배가 정박하고, 로프를 묶은
뒤에 하선해 주시길 바랍니다.
★대어낚시 선단★
거제 대어낚시 1호 ㅡ 안젤라호
거제 대어낚시 2호 ㅡ 안드레아호
거제 대어낚시 3호 ㅡ 야호(YAHO)
거제 대어낚시 4호 ㅡ 돌핀호
거제 대어낚시 5호 ㅡ 미래호
거제 대어낚시 6호 ㅡ 거제바다호
거제 대어낚시 7호 ㅡ 사랑호
거제 대어낚시 8호 ㅡ 대어호
■ 주변 제휴 민박집 ■
아지랑 민박(단체-독채) ☎010-6400-2082
해송굴구이민박(단체) ☎010-2545-3755
거제 대어낚시 주변 파라스파찜질방 검색하시면 됩니다.
거제대어낚시 선외기(선상)낚시 예약(독채 민박)
☎ 010-6400-2082 / ☎ 010-4547-3937
ㅁ선외기: ☎ 010-6400-2082
■ 밴드: https://band.us/@geojedaeeofishing
★찾아오시는길★
※출항지: 거제시 거제면 법동리 1074번지 아지랑경로당 방파제
사무실 :거제시 거제면 서정리 746-3(GS25시편의점)검색하시면 바로 옆 위치
★★★신분증 꼭 지참해주세요★★★
문어낚시, 거제문어낚시, 문어조황, 문어출조, 문어배, 선외기, 선외기대여, 선외기조황, 거제도선외기, 참돔낚시, 참돔, 참돔조황, 참돔낚시배, 거제도참돔낚시, 거제도참돔, 감성돔, 감성돔낚시, 감성돔선상낚시, 거제도낚시, 거제도배낚시, 거제도펜션, 거제도숙박, 선외기낚시, 아지랑선외기, 낚시체험, 생활낚시, 감성돔조황, 돔낚시, 참돔부시리, 부시리낚시, 부시리조황, 부시리출조, 거제도부시리낚시, 거제도참돔부시리, 거제참돔낚시, 흘림낚시, 감성돔채비, 거제대어낚시, 대어낚시























