히라도킴피싱 12월 30일 조황 및 1월 스케줄
● 출발지: 대구
● 목적지: 추자도(추포도)
● 대상어종:
● 비용: 00
안녕하세요~ 히라도킴피싱 실장 김정훈입니다^^
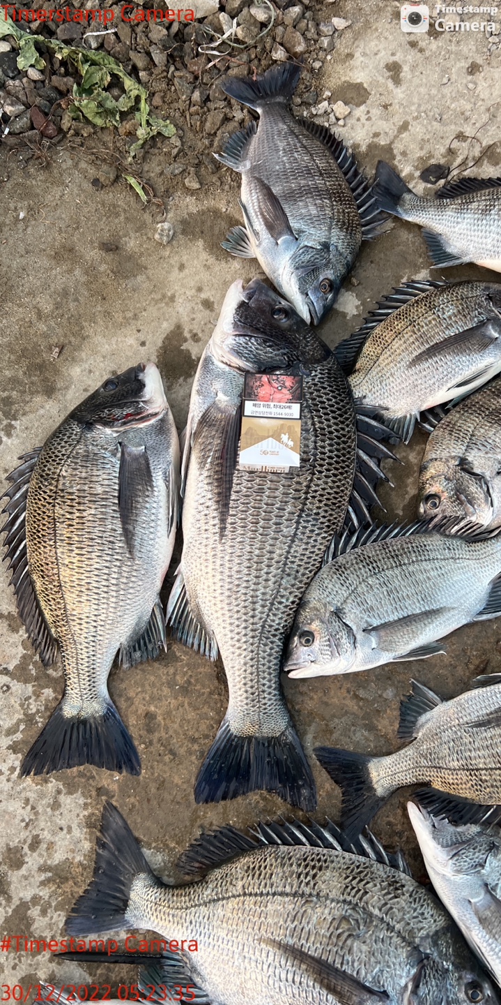
금일 조사장님~ 어떻게든 저를 꼬셔서 1:1 가이드 해달라고 조르셔서~ 저랑 단둘이 추포도 와있습니다~ 패턴만 잡아주니 아주 잘하시네요~
김실장 오늘 뜰채질 한다고 팔에 엘보왔습니다ㅎㅎ
오늘 젤 큰사이즈가 57센티네요~ 현재 추포도 마릿수 및 큰씨알 볼 수 있는 시기이니~ 얼른들 손 맛 보러 오셔요~^^
※23년 1월 추자도(추포도) 출조스케줄※
▷1월 1일~1월 2일 (1박 2일) 출조확정
출조 인원 모집중
▷1월 4일 (당일치기) 출조확정
출조 인원 모집중
▷1월 8일~1월 9일 (1박 2일) 출조확정
출조 인원 모집중
☆추포도 출조 비용 : 1박 2일 *42만원* (밑밥은 별도)
☆모든 출조 비용 카드 결제 됩니당^^ (단, 밑밥 값은 제외)
☆초보자분들 1:1 가이드 및 낚시패턴 잡아드립니다^^
☆추포도 출조 시 대구에서 출발이며 갠으로 (진도.해남) 오시면 교통비는 빼드리겠습니다~
★추포도 출조 시 포인트 경쟁이 없습니다~ 새벽 일찍 나갈 필요가 없습니다~ 도보 이용 가능하니 밤낚시도 가능합니다~ 다른 추자도 출조보다 시간을 많이 활용할 수 있는 아주 편안한 출조입니다~
-출조문의 ☞ 실장 김정훈 01090387711
-네이버밴드 ☞ https://band.us/band/89222323 (클릭하면 바로이동)

















